Breaking

New West Main Street Bridge Will Be a 28-Foot Span, With Bike Lanes and Sidewalks

The Town of Ayer plans to start the West Main Street Bridge replacement soon. Take a mental snapshot now because the bridge and road are about to take on a different appearance in years to come.

First, we are writing about the West Main Street Bridge over Nonacoicus Brook, which stands near the billboard, about a half-mile from Devens and near the Ayer Fire Department. This is where replacement work will take place.

On Jan. 28th, the DPW hosted a public meeting on the upcoming project, first reminding residents that the bridge is in “serious” condition and MassDOT inspects it every six months. Because the bridge is in such poor condition, it must be replaced, not repaired.

The current bridge, which is believed to have been built in the 1800s, is constructed of stone abutments and walls with a concrete deck supported by railroad rails, according to the Town of Ayer website.

Underneath, there are several cracks and a portion of the wall is broken down, along utilities. From the South side of the street, the bridge has a stone appearance. From the North (where the billboard stands), it appears to be concrete, but this covers stone (DPW materials released before Annual Town Meeting in 2023).

While the current bridge has a 7-10 foot span, the new bridge will have a 28-foot span, according to a 2024 engineering report we requested from the Town of Ayer. This will be supported by a 3-sided rigid frame concrete structure.

Source: Downloaded from the Town of Ayer website.
Page from Jan. 28th presentation showing example of 3-sided ridge frame to be used in the West Main Street replacement project.


Construction Plans

As for the road, there are currently two lanes of traffic and a sidewalk on North side near the billboard.

When complete, there will be two travel lanes, sidewalks and bike lanes. It appears there will be two 6.5-foot wide sidewalks, two 11-foot wide travel lanes and two 5-foot wide bike lanes, when you look at page 3 of the construction plans recently shared on the Town of Ayer’s website.

Page 3. Click to view larger size.

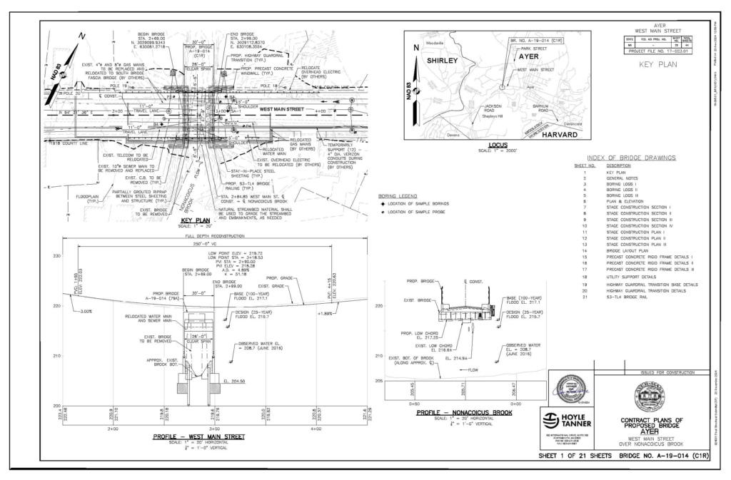
Page 20 below, which shows the 28-foot span.

Page 20 – Click to view larger size.

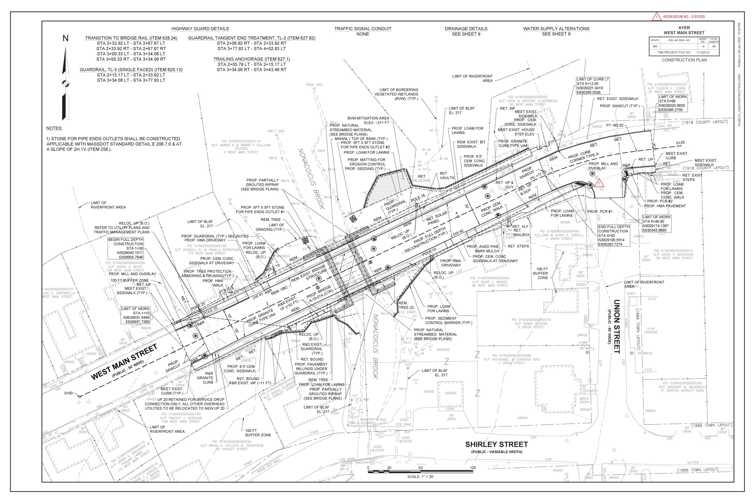
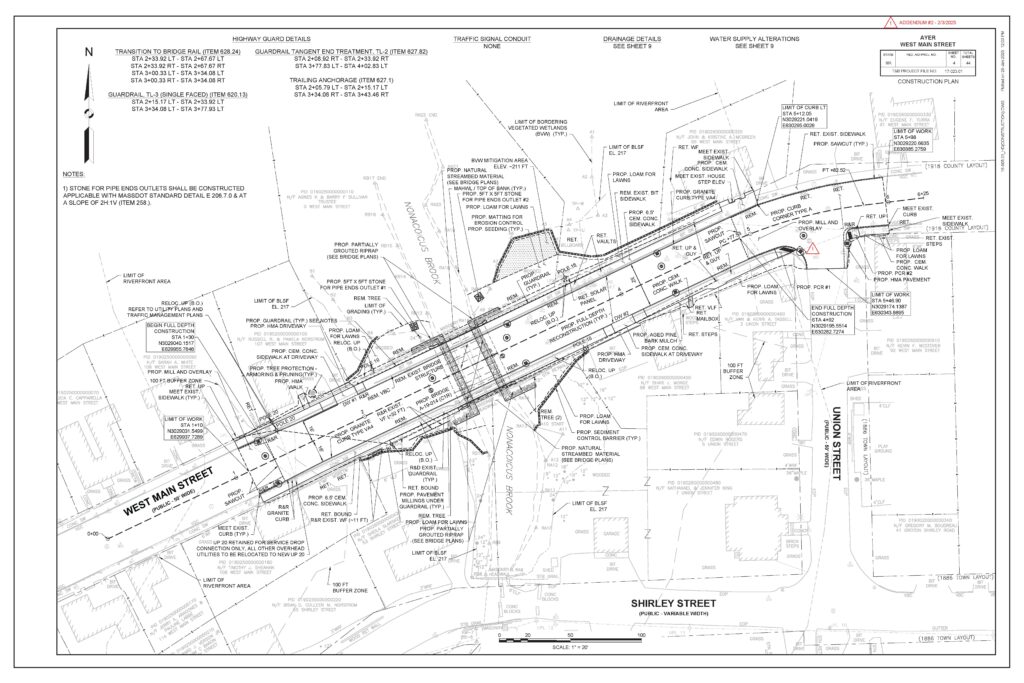
Page 4 below, which shows nearby Union Street and Shirley Street.

Page 4 – Click to view larger image.

You can look at the full construction documents on the Town of Ayer’s website or we have saved a local copy to our website.